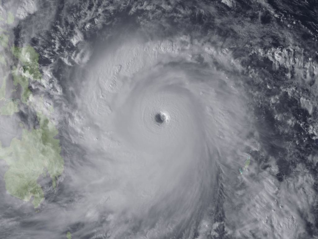
1,5 млн филиппинцев живут на улице после тайфуна

Около 1,5 млн жителей Филиппин вынуждены жить на улице после супертайфуна «Хаян», передает японский телеканал NHK.
Число бездомных составляет более 80% из 1,87 млн лиц, перемещенных в результате этого стихийного бедствия. Люди вынуждены жить на улице из-за того, что все лагеря для беженцев переполнены — разместить удалось лишь 300 тысяч человек.
Лишенным крова приходится самим строить себе временные жилища из обломков и других подручных материалов. Поставляемая зарубежными странами гуманитарная помощь попадает нуждающимся в ней крайне плохо из-за нехватки транспорта и топлива.
14 ноября власти Филиппин официально подтвердили гибель из-за тайфуна 4460 человек. Позже агентство Associated Press пояснило, что это сообщение не соответствует действительности. В поясняющем сообщении говорится, что 4460 человек находятся в эвакуационных центрах. Последней подтвержденной информацией остается 2200 жертв.